Melissa ya es huracán categoría 5. Foto: Meteored.
La madrugada de este lunes 27 de octubre, Melissa se ha convertido en un poderoso huracán de categoría 5 en la escala de Saffir-Simpson. El nivel más alto, con pronósticos de inundaciones catastróficas.
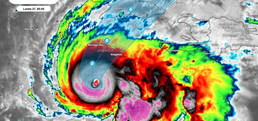
Actualmente, Melissa se localiza a 205 km al sur-suroeste de Kingston, Jamaica y a 520 kilómetros al suroeste de Guantánamo, Cuba.
El Centro Nacional de Huracanes de Estados Unidos, prevé vientos destructivos, marejada ciclónica e inundaciones catastróficas que empeorarán en Jamaica durante el día y hasta esta noche.
Jamaica en alerta
El huracán que actualmente avanza a unos 6 kilómetros por hora y experimenta vientos máximos sostenidos de hasta 270 kilómetros por hora, alcanzaría a Cuba el martes, al sur de Bahamas el miércoles y causaría lluvias en Haití y en la República Dominicana.
Desde el Centro Nacional de Huracanes se advierte a la población de Jamaica que no abandone su refugio seguro, ya que hasta mañana martes existe un alto riesgo de inundaciones repentinas y deslizamientos de tierra catastróficos.
Melissa traerá lluvias de entre 38 y 76 centímetros en partes de Jamaica y lluvias adicionales de 20 a 40 centímetros en el sur de La Española hasta el miércoles, con una posible máxima local de unos 100 centímetros, agregó el organismo con sede en Miami.
A Melissa se le atribuyen al menos cuatro muertes en Haití y la República Dominicana esta semana, ya que sus bandas exteriores provocaron intensas lluvias y deslizamientos de tierra.
SRE emite alerta para mexicanos en Jamaica por huracán Melissa
La Secretaría de Relaciones Exteriores (SRE) emitió desde ayer domingo, una alerta para los mexicanos en Jamaica ante la llegada del huracán Melissa y ofreció apoyo consular en caso de requerirlo.
Para ello, habilitó un número de emergencia para los mexicanos que se encuentran en ese país del Caribe.
Teléfono de emergencia de @EmbaMexJam: +1 (876) 832-8711
Asimismo, recomendó permanecer alerta de las notificaciones e instrucciones de cuidado y prevención de las autoridades locales.
Entérate de otras noticias por medio de nuestra cuenta oficial en Instagram




