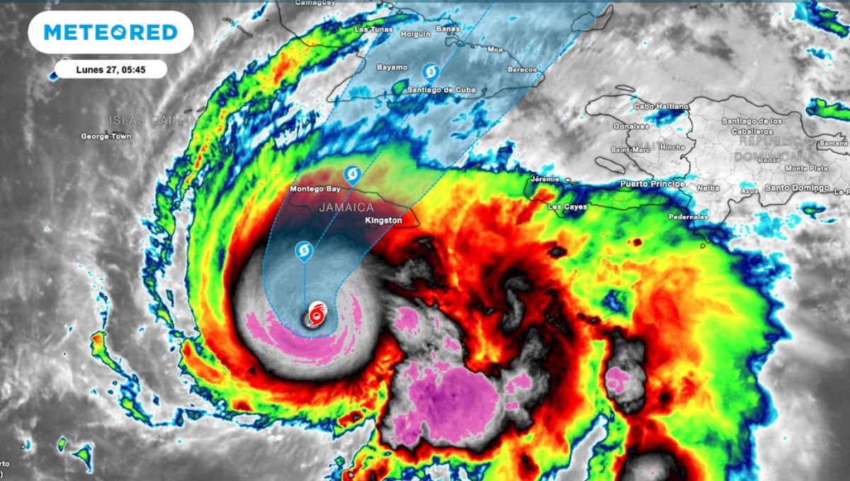
Melissa ya es huracán categoría 5; SRE activa línea de emergencia para mexicanos en Jamaica
La madrugada de este lunes 27 de octubre, Melissa se ha convertido en un poderoso huracán de categoría 5 en la escala de Saffir-Simpson. El nivel más alto, con pronósticos de inundaciones catastróficas. Actualmente, Melissa




