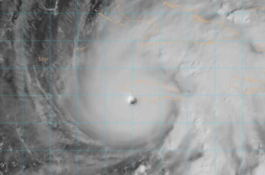
Este martes, el Centro Nacional de Huracanes (NHC) de Estados Unidos, informó que el huracán Melissa continúa su avance acercándose a la costa suroeste de Jamaica, mientras sigue ganando fuerza, por lo que advirtió que es «extremadamente peligroso».
El reporte del organismo meteorológico de este martes sitúa el ojo del huracán a 80 kilómetros ya de la localidad jamaiquina de Negril. Avanza con vientos máximos sostenidos que alcanzan los 290 kilómetros por hora, y tocará tierra en cuestión de horas.
Asimismo, advirtió de que Melissa tocará tierra en las próximas horas, manteniendo su intensidad extrema antes de cruzar el sureste de Cuba el miércoles y llegar a las Bahamas el jueves.
Las estaciones meteorológicas de Kingston y Montego Bay ya registran vientos sostenidos superiores a 60 kilómetros por hora y ráfagas de hasta 93 kilómetros por hora. Un avión cazahuracanes de la Fuerza Aérea de Estados Unidos se dirige al área para evaluar los daños y confirmar la intensidad del fenómeno.
Ante la inminente llegada del huracán Melissa, el NHC ha exhortado a los ciudadanos de Jamaica a permanecer en sus refugios hasta que haya pasado el temporal.
Se ha advertido que habrá inundaciones catastróficas, vientos destructivos y otros problemas a su paso.
Jamaica se mantiene alerta por huracán Melissa
El NHC mantiene alertas de huracán para toda Jamaica, las provincias orientales de Cuba -Granma, Santiago de Cuba, Guantánamo y Holguín. Así como para las Bahamas centrales y del sureste. Haití, Las Tunas (Cuba) y las islas Turcos y Caicos permanecen bajo aviso de tormenta tropical.
Asimismo, las autoridades de Jamaica instaron a la población a permanecer en refugios seguros, ante la inminencia de vientos devastadores que podrían causar «fallos estructurales totales», especialmente en zonas montañosas donde las ráfagas pueden ser hasta un 30 por ciento más fuertes.
Al momento, Melissa ha generado lluvias acumuladas de entre 3.8 y 7.6 metros sobre la isla, con máximos de hasta 10 metros, lo que provocará inundaciones repentinas y deslizamientos de tierra generalizados, según el NHC.
Entérate de otras noticias por medio de nuestra cuenta oficial en Instagram
